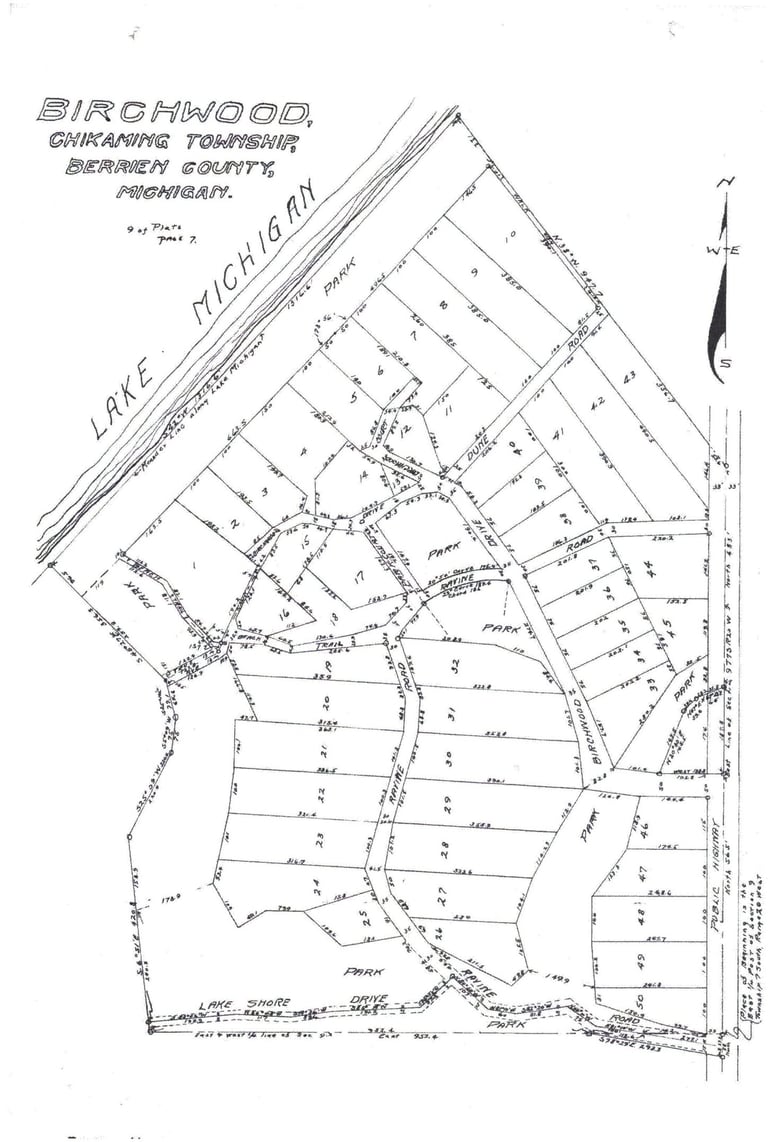
Lots 9 & 10 in the plat of Birchwood
Nestled in the prestigious Birchwood neighborhood in the heart of Harbor Country, these prime lakefront lots offer an exceptional opportunity to build your dream home(s). With 246 feet of Lake Michigan frontage and deeded access to an expansive 1,300 feet of sandy beach, this rare find is one of the last remaining undeveloped lakefront properties in the area.




What's For Sale
Lots 9 and 10 are for sale individually or together. Additional inland lots 42 and 43 available to buyers of the lakefront lots.


Berrien County Road Commission has determined that the North end of the Prairie Road Right of Way, running up the hill to the right and containing the existing concrete driveway, has not been abandoned and extends all the way up the hill to the Springbrook beach path sign.
DNR PERMIT ISSUED IN 2010
Construct a driveway, parking area, house with attached garage, retaining walls, and install a septic system. Driveway shall measure a maximum of 12 feet wide, and lead to a parking area adjacent to the southeast side of the house. Septic system shall be installed below the parking area. House shall measure approximately 3150 square feet on a basement foundation, with attached garage measuring approximately 576 square feet. House and septic shall be constructed landward of the 60 year setback distance for this property. All work shall be completed in accordance with attached plans and permit specifications.
Don't miss the chance to create your perfect beach retreat in this sought-after location!
Listed By RE/MAX Harbor Country, Cameron Mammina
Contact
cam.mammina@gmail.com
269.470.5221 cell








